Biology
Earwigs are nocturnal insects known for their distinctive pincers (cerci) at the end of their abdomen. They range in size from 5 to 25 mm and have elongated, flattened bodies that help them hide in narrow spaces.
Earwigs are omnivores, feeding on a mix of decaying plant material, small insects, and sometimes household plants.
They thrive in dark, damp environments such as gardens, mulch, and under rocks or logs, and can occasionally enter homes seeking moisture and shelter.
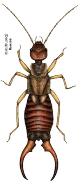
Size: 5 to 16 mm long.
Colour: Dark brown to black with pale yellow-brown legs.
Description: Dark coloured insects with pale yellow-brown wings and legs, and a pincer (cerci) at the end of their abdomen.
Order/Family: Dermaptera/Forficulidae.
Scientific Name: Forficula Auriculana.
Earwigs hide deep, multiply fast, and survive most sprays. DIY won’t stop them; only professional treatment will.
- Earwig mothers guard their eggs, a rare behavior in insects protecting them from predators.
- Despite their wings, most earwigs rarely fly, preferring to scurry into tight, damp spaces.
- In ideal conditions, earwig populations can explode, invading gardens and homes in large numbers.
- Their pincers may look intimidating, and they are. In heavy infestations, they can pinch pets or enter bedding, causing discomfort and anxiety.
Behaviour, Habitat & Diet
Behavior
Earwigs do not bite or spread disease, but their pincers can pinch painfully. Generally considered nuisance pests in spring and summer, they can damage gardens by chewing irregular holes in leaves and flowers. Earwigs enter homes through cracks in siding and foundations or via items brought inside, like potted plants, firewood, or cardboard boxes. If you have a heavy earwig presence, professional pest control is recommended.
Habitat
They thrive in damp environments such as garden mulch, leaf litter, under rocks and logs, and soil cracks. Earwigs can invade homes, especially basements and bathrooms, seeking moisture.
Diet
Earwigs are omnivores, feeding on living and decaying plants, small insects, and organic matter. While they help control pests, large populations can damage plants and vegetables.
Warm, moist environments like mulch beds and bathrooms are breeding grounds for earwigs, making homes with humidity issues especially vulnerable.
Life Cycle
Earwigs undergo incomplete metamorphosis, progressing through three main stages:
Egg Stage
- Female earwigs lay 30–50 eggs in soil or dark crevices during late winter or early spring.
- Eggs are small, white, and round, and are carefully guarded by the female until they hatch—an uncommon trait among insects.
Nymph Stage
- Eggs hatch into nymphs after about 7–10 days.
- Nymphs resemble miniature adults but lack fully developed wings and pincers.
- They go through 4–5 molts, gradually growing in size and developing more defined pincers.
Adult Stage
- After the final molt, nymphs become fully formed adults with functional wings (though most rarely fly).
- Adults live for up to one year, continuing the cycle by reproducing in favorable conditions.
Earwigs quickly migrate from outdoors into your home, and their rapid life cycle can cause infestations to explode before you even notice, making perimeter control essential.
Stop Earwigs Before They Multiply and Invade Your Space
Our certified professionals will identify and eliminate earwig infestations at their source, inside and outside your home, and create a barrier to prevent future invasions, giving you peace of mind.
FREQUENTLY ASKED QUESTIONS ABOUT EARWIGS
Earwigs are nocturnal insects with distinctive pincers that feed on plants and sometimes invade homes. While they don’t spread disease, their rapid reproduction and damage to gardens or indoor spaces make them a nuisance you don’t want to ignore.
Earwigs enter through cracks, gaps, and damp areas around your home’s foundation. They are attracted to moisture, so basements, bathrooms, and crawl spaces are common entry points.
Earwigs can double their numbers every 2 to 3 weeks, turning a small problem into a full-scale infestation very quickly.
Earwigs feed on garden plants, flowers, fruits, and sometimes damage household materials. Their feeding can ruin crops and landscaping, reducing your home’s curb appeal.
Don’t wait! Contact Eradicare immediately to schedule an inspection and treatment. The sooner you act, the easier it is to stop the infestation.
Eradicare’s licensed professionals conduct a detailed inspection to identify earwig entry points and nesting areas. We then apply targeted treatments that tackle all life stages, eggs, nymphs, and adults, both inside and outside your home. Beyond elimination, we implement customized prevention plans to seal gaps and reduce moisture, ensuring earwigs stay out for good.
